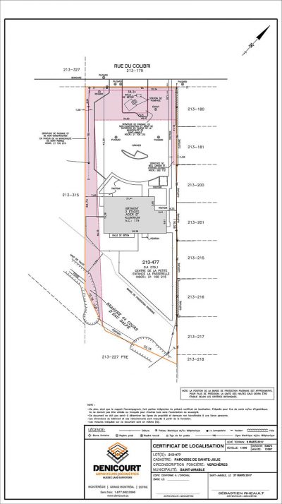
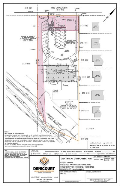
Project Description
Construction du Centre de la Petite Enfance (CPE) La Passerelle à Saint-Amable.
Plusieurs mandats ont été réalisés dans ce projet, notamment une description technique, une opération cadastrale, un levé topographique, un projet d’implantation, plusieurs implantations et un certificat de localisation.









